| 物件名 | 貸倉庫 埼玉県鶴ヶ島市大字藤金196-2 | ||
|---|---|---|---|
| 物件種別 | 倉庫 | 業種 | |
| 所在地 | 埼玉県鶴ヶ島市藤金196-2 | ||
| 交通 | 関越道『鶴ヶ島IC』 | ||
| 交通 | 東武東上線「若葉」駅 徒歩20分 | ||
| 賃料 | 2,145,000円(税込) | 共益費・管理費 | |
| 敷金・保証金 | 4ヶ月 | 敷金・保証金償却 | 1ヶ月 |
| 礼金 | 1ヶ月 | 更新料 | |
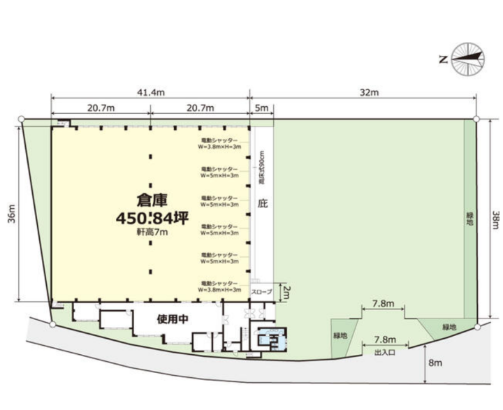
| 土地面積 | 4,024.4m² | 建物床面積 | 1,490.4m² |
| 坪単価 | |||
| 入居日 | 時期指定【2026年9月1日】 | ||
| 契約期間 | 3年 | 現況 | 居住中 |
| 賃貸借区分 | 普通賃貸借 | 取引態様 | 仲介 |
| 建物構造 | 鉄骨造地上1階 | 用途地域 | 市街化調整区域 |
| 建ぺい率 | 容積率 | ||
| 駐車場区分 | 駐車場料金 | ||
| 接道状況 | 一方公道 | ||
| 築年月 | 1992年12月 | ||
| こだわり条件 | 商品保管倉庫 , 平屋建て , 40フィートトレーラー進入可 , 高速インター近く , 高速ICから5キロ以内 , 300坪~ | ||
| 備考 | |||
| 最終更新日 | 2026年05月05日 | ||











































おすすめコメント
【鶴ヶ島IC2.5km】450坪
軒高7m!高床式&広大な敷地を持つ平屋倉庫
・関越道「鶴ヶ島IC」および圏央道「圏央鶴ヶ島IC」から約2.5km
・建物面積約450坪(1490.40m²)、鉄骨造平屋建ての大型倉庫
・軒高7m、高床式(90cm)仕様で、保管効率と荷役作業性に優れています
・敷地面積は約1,217坪と広大で、大型車の進入や旋回もスムーズに行えます
・前面道路の幅員が約7.8mあり、トレーラー等の大型車両のアクセスも良好です ・東武東上線「若葉」駅徒歩約20分(1.6km)、「鶴ヶ島」駅徒歩約23分(1.8km)
・スロープ付きで、フォークリフト等の乗り入れにも対応可能
【メリット】
アクセス: 関越道・圏央道の2つのICが利用可能(各約2.5km)で、広域配送のハブ拠点として極めて優秀な立地です。
敷地環境: 1,200坪超の広い敷地と幅員7.8mの前面道路により、大型トレーラーの進入や場内での取り回しが容易です。
建物仕様: 軒高7m・高床式というスペックは、保管効率と品質管理(防湿等)の両面でメリットがあります。
【デメリット(事前の注意点)】
用途制限: 市街化調整区域のため、原則として倉庫・配送センター等の利用に限られ、店舗や工場用途には制限がかかる場合があります。
賃料: 賃料等の詳細が「要確認」となっているため、具体的なコストシミュレーションには問い合わせが必要です。
駅距離: 最寄り駅から徒歩20分程度かかるため、公共交通機関を利用する従業員の通勤には自転車や送迎バス等の検討が必要かもしれません。